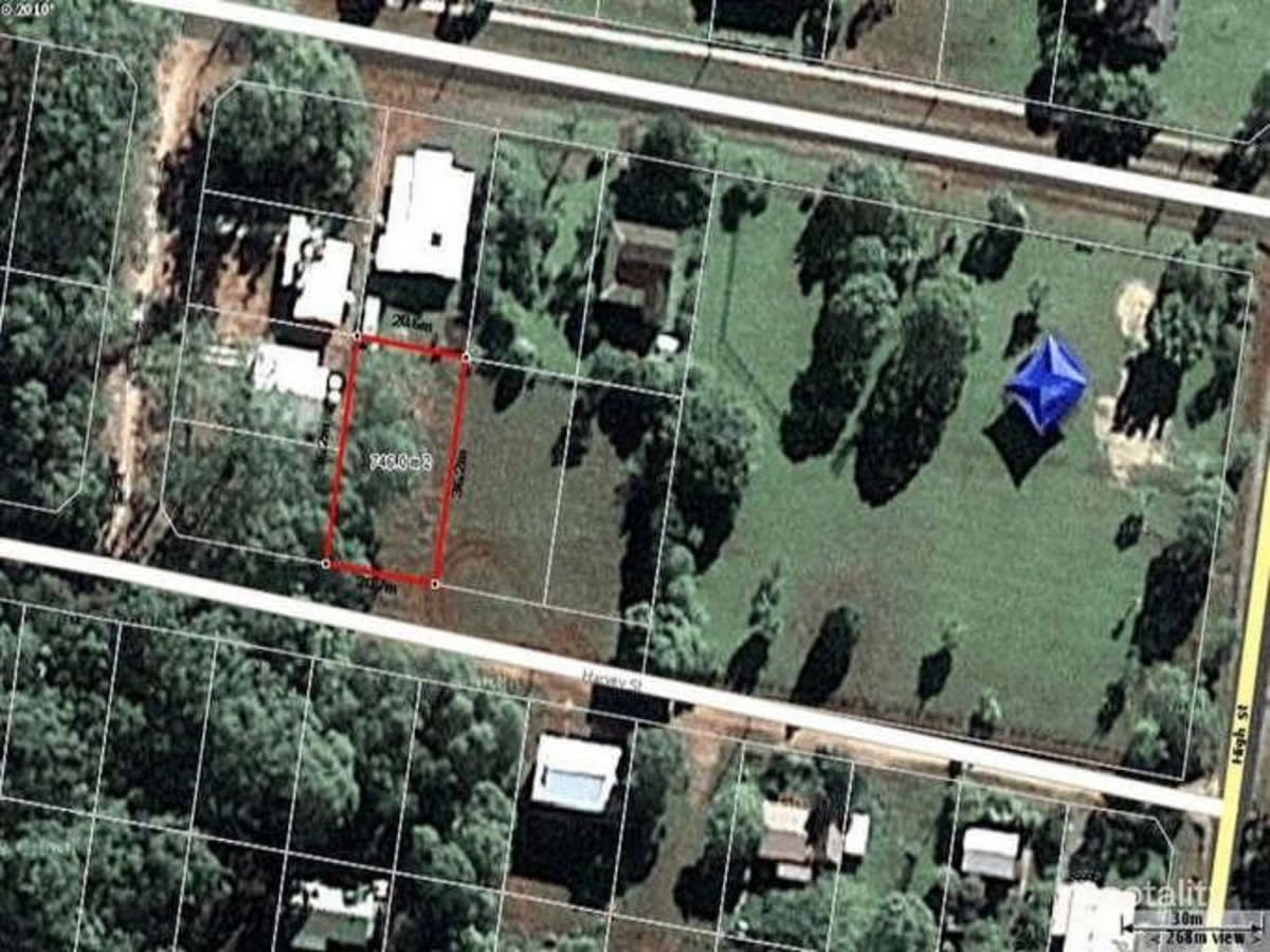
17 Harvey Street, Russell Island QLD 4184

offers over $99,000 Make An Offer

Great Size Block & Fantastic Location! On top of the hill and close to the highest spot on the island.
746m2
Nestled right in the heart of town & an easy stroll to everything
Frontage of 20.7mtrs.
Paved Road
Close to park.

Call today for more info